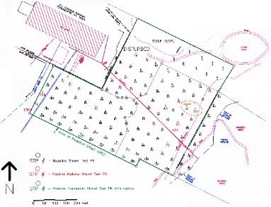
Project site map showing Phase IB Shovel Test Pit locations.
STRATA
845-647-1390
845-750-3938
info@stratacrm.com
36 CFR 61 Qualified
Professional Archeologists
     
Strata conducts Archeological
Investigations including:

  • Phase 1A Literature
    Reviews and Sensitivity
    Assessments;
  • Phase 1B Field
    Investigations;
  • Phase II  Site Evaluations
    to recommend whether
    cultural resources found
    are eligible for the
    National/State Registers
    of Historic Places;
  • Phase III Mitigation of
    adverse impacts - site
    avoidance, data recovery
    excavations, structure
    recording.
Phase IB backhoe trenching for
geomorphological analysis of Wappinger
Creek floodplain near Salt Point, NY.
Every project is unique and requires a customized work scope to
address its particular characteristics.  STRATA utilizes a variety of
testing strategies and methodologies to get the job done.  From
Phase I shovel testing and visual surface surveys to backhoe
trenching, unit excavations, and geomorphological analysis at the
Phase III level, we will be able to advise you on what is necessary
to satisfy the requirements of both Town and State agencies.
Clients

A. Colarusso & Son, Inc.
Barjac Realty Corp.
Barton & Loguidice, P.C.
Camarda Realty Investments LLC
Davenport Farms
Ellenville Regional Hospital
Eustance & Horowitz, P.C.
Hudson United Realty, LLC
INSITE Engineering, Surveying & Landscape Architecture, P.C.
Keane Coppelman Engineers, PC
Kent Hollow, Inc.
Kirchhoff Construction Management, Inc.
Lanc & Tully Engineering and Surveying, PC
M. Gillespie & Associates, PLLC
Medenbach and Eggers Civil Engineering & Land Surveying, P.C.
Palumbo Block Co., Inc.
Patrick J. Prendergast PE
Pietrzak & Pfau Engineering & Surveying, PLLC
Ralph G. Mastromonaco PE
Richard P. Hanback, NYS Land Surveyor
Roy T. Budnik & Associates, Inc
.
Shenandoah Farms
Stoeckeler Realty
Tim Miller Associates, Inc.
Town of Goshen Library
Warwick Properties, Inc.
Phase IA/IB Archeological Investigation
Ace Sports Development
Town of Cortlandt, Westchester County, NY

Phase IA/IB Archeological Investigation
Barjac Equestrian Complex
Hamlet of Patterson, Putnam County, NY

Phase IA/IB Archeological Investigation
Briggs Subdivision
Town of Rhinebeck, Dutchess County, NY
.
Phase IA/IB Archeological Investigation
Capalbo Subdivision
Town of Rhinebeck, Dutchess County, NY

Phase IA Sensitivity Assessment
Colarusso Quarry Expansion
Town of Greenport, Columbia County, NY

Phase IA/IB Archeological Investigation
Cuen/Hunt Subdivision
Town of Marbletown, Ulster County, NY

Phase IA/IB Archeological Investigation
Davenport Farm Irrigation Pond
Town of Stone Ridge, Ulster County, NY

Phase IA/IB Archeological Investigation
Degnan Retail Center
Town of Wappinger, Dutchess County, NY

Phase IA/IB Archeological Investigation
Dutch Village Mobile Home Park
Town of Claverack, Columbia County, NY

Phase IA/IB Archeological Investigation &
Phase II Site Evaluation
Ellenville Senior Apartments
Town of Wawarsing, Ulster County, NY

Phase IA/IB Archeological Investigation
Future Wawarsing Subdivision
Town of Wawarsing, Ulster County, NY

Phase IA/IB Archeological Investigation,
Phase II Site Evaluation & Phase III Mitigation,
Industrial Retro Subdivision
Town of Poughkeepsie, Dutchess County, NY

Phase IA/IB Archeological Investigation
Jackson Mine
Town of East Fishkill, Dutchess County, NY
Phase IA/IB Archeological Investigation &
Phase II Site Evaluation
Kent Hollow Mine Expansion
Town of Amenia, Dutchess County, NY

Phase IA/IB Archeological Investigation
Lockwood Estates Subdivision
Town of Yorktown, Westchester County, NY

Phase IA Archeological Sensitivity Assessment
New Goshen Library
Village of Goshen, Orange County, NY

Phase IA/IB Archeological Investigation
Palumbo Block Mine Expansion
Town of Dover, Dutchess County, NY

Phase IA/IB Archeological Investigation
Pine Cone Road Subdivision
Town of Marbletown, Ulster County, NY

Phase IA/IB Archeological Investigation
Putnam Community Foundation
Town of Carmel, Putnam County, NY

Phase IA/IB Archeological Investigation
Riverview Estates Subdivision
Town of Montgomery, Orange County, NY

Phase IA/IB Archeological Investigation &
Phase II Site Evaluation
Ross Subdivision
Town of Marbletown, Ulster County, NY

Phase IA/IB Archeological Investigation &
Phase II Site Evaluation
Stateline Retail Center
Town of Southeast, Putnam County, NY

Phase IA/IB Archeological Investigation
Watch Hill Plaza
Town of Cortlandt, Westchester County, NY

Phase IA/IB Archeological Investigation
The Wind Rose Club
Towns of Dover & Pawling, Dutchess Co., NY

Phase IA/IB Archeological Investigation &
Phase II Site Evaluation
Woodlands at North Salem
Town of North Salem, Westchester County, NY

Phase IA/IB Archeological Investigation
Vassar Square Commercial Rehab
Town of Poughkeepsie, Dutchess County, NY
Recent Projects Completed by STRATA: